About Richardson Street
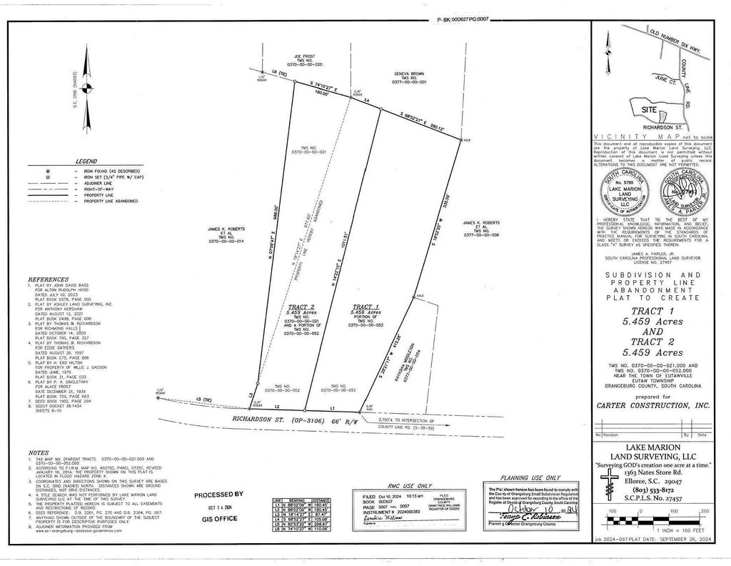
This beautiful piece of property is up for sale in Eutawville, SC! Recently surveyed, these two 5.459 acre tracts are being sold together that total 10.918 acres. The property corners are marked and lines were flagged in September 2024. Orangeburg County has not yet updated the TMS numbers or the GIS since the new survey was recorded in October 2024 so please reference the survey and old TMS numbers. Schedule your showing today!
Features of Richardson Street
| MLS® # | 25006349 |
|---|---|
| Price | $179,900 |
| Bathrooms | 0.00 |
| Acres | 10.91 |
| Type | Land |
| Status | Active Under Contract |
Community Information
| Address | Richardson Street |
|---|---|
| Area | 84 - ORG - Lake Marion Area |
| Subdivision | None |
| City | Eutawville |
| County | Orangeburg |
| State | SC |
| Zip Code | 29048 |
Amenities
| Utilities | None |
|---|---|
| Is Waterfront | No |
| Has Pool | No |
Interior
| Fireplace | No |
|---|
Exterior
| Lot Description | 10+ Acres, Wooded |
|---|
School Information
| Elementary | St. James-Gaillard Elementary School |
|---|---|
| Middle | Holly Hill Roberts Middle |
| High | Lake Marion High School And Technology Center |
Additional Information
| Days on Website | 239 |
|---|---|
| Short Sale | No |
| RE / Bank Owned | No |
Listing Details
| Office | Carolina Elite Real Estate |
|---|---|
| Contact Info | admin@carolinaelitere.com |
